Minimum bid
$1,500.00
Zoning information
(AG) Agriculture
Zoning description
The parcel is zoned (AG) Agriculture by the Yakima County.
Tax parcel number
None assigned - Surplus highway Right of Way. Adjacent to Yakima County tax parcels 201131-31006 and 201131-42001.
Location and size
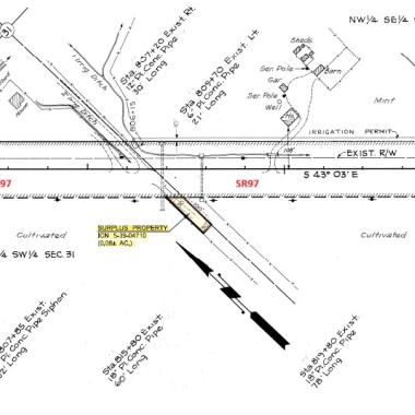
A .08+/- acre irregular shaped parcel that is located near the City of Toppenish on the south side of SR97 at or near mile post 64.3.
Abbreviated legal and acquisitions information
Ptn. NE 1/4 SW 1/4, Sec. 31, T.11N., R.20E., W.M. The parcel was acquired by Warranty Deed recorded under Yakima County auditor file number 1612586.
Improvements
There is cyclone fencing located on the property.
Topography and cover
The property is level at grade with the highway and neighboring properties and is covered in gravel.
Utilities
Utilities assumed to be available to the property is electricity only. There is no water, sewer, or irrigation water associated with the property.
Special conditions
For land usage requirements/restrictions, contact the local jurisdiction. Direct access to SR97 will be prohibited and the property is considered land locked.
Map of parcel #5-39-04710, Yakima County
Contact
Greg Snelson